忍者ブログ

ちょっとだけ、不思議な昆虫の世界

さりげなく撮った昆虫のデジカメ写真が、整理がつかないほど沢山あります。 その中から、ちょっとだけ不思議だなぁ~と思ったものを、順不同で紹介していきます。     従来のブログのように、毎日の日記風にはなっていませんので、お好きなカテゴリーから選んでご覧ください。 写真はクリックすると大きくなります。   

[PR]

×

[PR]上記の広告は3ヶ月以上新規記事投稿のないブログに表示されています。新しい記事を書く事で広告が消えます。

虫たちの親子-23 ミヤマカラスアゲハ


私は、何を隠そう、野外で、
ミヤマカラスアゲハ幼虫を見るのは、
今回が、多分最初である。

・・・しかも、3匹ほぼ同時に!!

 

だから、お気に入りの白岩森林公園の林道で、
幼虫を偶然見つけたときは、ちょっとだけ感動した。

 

 


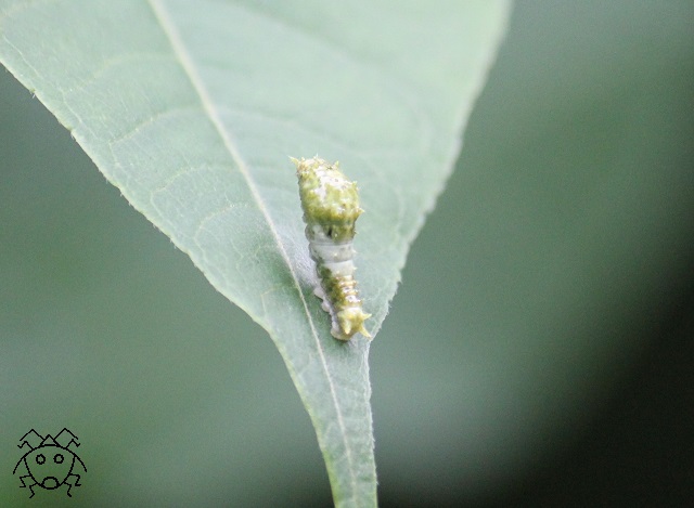
ミヤマカラスアゲハ幼虫(アゲハチョウ科)

2014年6月21日 白岩森林公園・青森

この子が、人生で初対面の子!!


多分3齢幼虫だと思う。

いわゆる鳥の糞型なのだが、色が不気味?

 

 

 


ミヤマカラスアゲハ幼虫(アゲハチョウ科)

2014年6月21日 白岩森林公園・青森

他のアゲハ類の幼虫と似ているのだが、
ミヤマカラスアゲハ幼虫の尾端にある突起は、
顕著に尖っていることで、識別可能とされる。


 ⇒この付近では、ミヤマカラスアガハ成虫を、
  しばしば見かけるので、多分間違いないだろう。

 

 

 


ミヤマカラスアゲハ幼虫(アゲハチョウ科)

2014年6月21日 白岩森林公園・青森

これまで、一度も行ったことはないのだが、
この形状と静止姿勢は、カラオケのマイク???


このように、上半身(?)を持ち上げて静止するのは、
何らかの意味があるのだと思うが・・・


 ⇒いちばん考えやすいのが、威嚇行動だが、
  この色と形状では、全く迫力がない。

 

 

 


そして、美麗種として有名な成虫は?!

 

 

 

ミヤマカラスアゲハ成虫(アゲハチョウ科)

2010年7月23日 だんぶり池・青森

だんぶり池の渓流沿いの林道を、
キラキラと輝きながら飛んでいる姿は、
この世のものとは思えないほど美しい。


これぞ寒冷地の動く宝石かも・・・

 

カラオケと同じく、一度も行ったことがないのだが、
写真や映像で見る南米や東南アジアのチョウよりも、
さりげない金属光沢のミヤマカラスアゲハは、
個人的に、「一番好きなチョウなのかな!」と思う。

 

 

 

   

拍手[13回]

PR