忍者ブログ

ちょっとだけ、不思議な昆虫の世界

さりげなく撮った昆虫のデジカメ写真が、整理がつかないほど沢山あります。 その中から、ちょっとだけ不思議だなぁ~と思ったものを、順不同で紹介していきます。     従来のブログのように、毎日の日記風にはなっていませんので、お好きなカテゴリーから選んでご覧ください。 写真はクリックすると大きくなります。   

[PR]

×

[PR]上記の広告は3ヶ月以上新規記事投稿のないブログに表示されています。新しい記事を書く事で広告が消えます。


北海道MMT中のカメムシ③

(つづき)

このシリーズの写真を見てお気づきのように、
緑色の葉っぱの上にいる虫たちが、
被写体になることが、比較的多い。

私の撮影スタンスは、野鳥類が虫を探す場合と似ている。

そんな視線で、自然状態の虫を探していると、
多くの虫たちは、捕食者の餌とならないように、
様々な工夫をしていることに驚かされる。

 

 

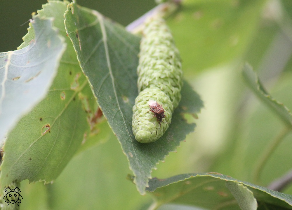
マダラナガカメムシ(マダラナガカメムシ科)

2014年7月6日 清水町・北海道

様々な工夫のうちのひとつである警戒色。

その典型的な例でもある赤白黒のカメムシだ。


体内に不味成分を持つ虫たちは、
学習した鳥たちが記憶しやすいように、
こんな目立つ体色をしているのだ。
↓  ↓  ↓
http://kamemusi.no-mania.com/Date/20130209/1/

 

 


シマアオカスミカメ(カスミカメムシ科)

2014年7月6日 清水町・北海道

同定が難しいカスミカメの仲間でも、
特徴的な色彩や模様の種は、比較的容易だ。

あまり本州では見かけないが、
特に、北海道に多いわけではなさそうだ。

 

 


ヘリカメムシ(ヘリカメムシ科)

2014年7月6日 清水町・北海道

この子は、さりげなく珍品だ。

最初は、オオヘリカメムシだと思ったが、撮影場所は北海道。
体色やツノの形が、明らかに違うのがすぐ分かった。

個人的は、初めての撮影種である。

 

 

 

クサギカメムシ(カメムシ科)

2014年7月7日 札幌・北海道

ここに出すのが申し訳ないくらいの種・・・

都会の公園にある1本のナナカマドの木に、
同時に3種のカメムシを発見した。

最初は、まあ、この子からということで?

 

 

 

トホシカメムシ(カメムシ科)

2014年7月7日 札幌・北海道

同じナナカマドの木のやや高い位置にいた。

撮影アングルが悪いが、大型のやや珍しいカメムシ。


本州では、山地性だが、さすが北海道だ。

まさかの都会の公園で、さりげなく発見・・・

 

 


そして、3種目のカメムシは、セアカツノカメ。

すでに北海道MMT①で、掲載しいるので、
ちょっとだけ苦労して、3種の同時撮影を敢行!!!

 


ナナカマドの3種のカメムシ

2014年7月7日 札幌・北海道

クリックして拡大しても、全く分からないと思うが、右から、
セアカツノカメムシ、クサギカメムシ、トホシカメムシ、
の順に写っている。

まあ、3種同時の証拠写真である。



     

拍手[15回]

PR

北海道MMT中のカメムシ②

(つづき)

今回の北海道MMTで、カメラのシャッターを押した回数は、
SDカードの記録から、1608回。

もちろん、その場ですぐに削除したのもあるので、
パソコンに残された写真は、約1400枚だ。

その中から、今回は16種類のカメムシの写真を、
日付順に、紹介していることになる。

 

 


チャバネアオカメムシ(カメムシ科)

2014年7月1日 早来・北海道

樹木の葉っぱや果実で見かけることが多い。

この子は、おそらく草本のヒメジョオンの茎にいて、
微妙に翅を震わせていた。

 

 

 

多分クロヒメツノカメムシ(ツノカメムシ科)

2014年7月3日 樽前山・北海道

普通のヒメツノカメムシかもしれない・・・

普通は腹部にある黒色点刻の有無で見分けるが、
残念ながら、確認することはできなかった。

 

 


ベニモンツノカメムシ(ツノカメムシ科)

2014年7月5日 層雲峡・北海道

セリ科植物上に多いツノカメ。

このような交尾個体も、普通に見かける。

北海道では、膜質部の黒いベニモンツノカメを探したが、
結局1匹も見つけることが出来なかった。

 

 

 

ウスイロヒラタナガカメムシ(ナガカメムシ科)

2014年7月6日 十勝川温泉・北海道

駐車場にあるシラカバの果実で見つけた。

酸ヶ湯温泉のダケカンバの果実にいた幼虫と同じ種だ。
↓   ↓   ↓
http://kamemusi.no-mania.com/Date/20131129/1/


ただ、写真をよく見ると、下にもいる?

交尾しているようだが、この状況は??

しかも、下にいる方が小さい???

 

 


モンシロサシガメ(サシガメ科)

2014年7月6日 清水町・北海道

ようやく、北海道特産種を見つけた。

最初はシマサシガメと思ったが、
脚にマダラ模様がない!!!!


ただ、軽く調べたネット情報では、
本州中部地方での記録があるようだが・・・

 

 


ミドリカスミカメの仲間(カスミカメムシ科)

2014年7月6日 清水町・北海道

この仲間(すべてのカスミカメ類)に関しては、
写真だけの同定を、ギブアップするしかない?

とりあえず、この写真の子は・・・・分からない???

 

 

(つづく)

 

      

拍手[12回]


北海道MMT中のカメムシ①

    
今年(2014)の6月30日から7月7日まで、
約1週間の北海道旅行に、夫婦で出かけた。

今回は、3日間は札幌に住む娘も同行したので、
主として観光地周辺での撮影だった。

 

そして・・・


前回、一部の人たちに好評だったので(?)、
今回も、MMTに撮れた16種類のカメムシの写真を、
撮影日付順に、3回連続で紹介したい。

 

 

 

多分ツノアオカメムシ5齢幼虫(カメムシ科)

2014年6月30日 豊浦・北海道

このブログで何回か紹介したツノアオカメムシ。

私のカメムシ収集の原点でもある。
↓   ↓   ↓
http://kamemusi.no-mania.com/Date/20101021/1/


もし、この子が本当にツノアオの幼虫ならば、
ようやく写真を撮ることができたことになる。

いや、脚が結構黒っぽいので、もしかしたら別種かもしれない。

 ⇒今のところ、五分五分かも?

 

 

 

セグロヒメツノカメムシ(ツノカメムシ科)

2014年6月30日 倶多楽湖・北海道

背中の紋が黒い、小さなツノカメ。

最初見つけたときは、赤みがかった体色から、
珍品臭が漂っていたが・・・・

 

 


トゲカメムシ(カメムシ科)

2014年6月30日 倶多楽湖・北海道

本州では、山地性の種類だが、青森や北海道では、
どこでも見られるようだ。

今回のMMTで、最も出会いが多かったカメムシだ。

 

 


エゾツノカメムシ(ツノカメムシ科)

2014年7月1日 早来・北海道

エゾという名前が付いているが、
日本各地の山地でも、稀に見かける。

ただ、写真が撮れたのは、今回が初めてで、
ちょっとだけ嬉しかった。

 

 

 

セアカツノカメムシ(ツノカメムシ科)

2014年7月1日 早来・北海道

写真は雄だが、小さなハサミがあり、結構カッコイイ。

大型のツノカメの中では、比較的個体数は多いようで、
日本各地で普通に見かける。

 


(つづく)

 

 

拍手[15回]


キアシドクガ乱舞

個人的に大好きな樹木であるブナ。

北海道のブナ自生の北限地帯に、
さりげなく立ち寄ってみた。

 


北限のブナ

2014年7月7日 黒松内・北海道

この林が最北限かどうかは不明だが、
間違いなく北海道のブナである。


ちょっと感動・・・・

 


しかし、その後、もっと感動したことが!!

 

すぐ近くで、見たこともない光景が・・・・

 

 


キアシドクガ(ドクガ科)

2014年7月7日 黒松内・北海道

多数の白い蛾が飛翔・乱舞していた。

早速、何回かシャッターを切ったが、
カメラのモニター画面で確認しても、
なかなか、その迫力が伝わらない。

 

 


キアシドクガ(ドクガ科)

2014年7月7日 黒松内・北海道

キャベツ畑の上を飛び回るモンシロチョウのようだが、
その数と迫力は、問題にならない。

⇒写真をクリックして、拡大していただくと、
 白い点々のように見えるのが、全て白い蛾である。

 

 

 

キアシドクガ(ドクガ科)

2014年7月7日 黒松内・北海道

思い切って最大ズームで撮ると、
飛行中の3匹と、葉っぱに静止する5匹が、
うまい具合に写っていた。

 

 


キアシドクガ(ドクガ科)

2014年7月7日 黒松内・北海道

この写真だけでの同定だが、
白い蛾は、多分キアシドクガだろう。

隣に写っている正体不明の飛んでる虫が、
多少のご愛嬌である。

 

 


キアシドクガ(ドクガ科)

2014年7月7日 黒松内・北海道

動画でも撮影したが、動きがあるので、
よりハッキリ、かなりの迫力で記録できたと思う。

ただ、容量の関係か、このブログには、アップできなかった。


このように乱舞する理由は、良く分かっていないようで、
雌の放出する性フェロモンに反応した、雄だけの飛行ではなさそうだ。


ネット情報では、キアシドクガ幼虫は、
日本各地で、(局所的に)大発生しているらしい。

そのときには、幼虫の餌植物であるミズキの葉を、
集団で食べつくしてしまうほどのようだ。

 

でも、北限のブナのおかげで、
めったに見られないものを見せてもらった??

     

拍手[17回]


緊急報告 エゾリスとキタキツネ

人を恐れない野生動物(哺乳類!)は、
最近増加傾向にあるのだろうか?

さりげなく1週間の北海道(道南)を旅行をした。

別に珍しいことではないようだが、
今回も、人を恐れない野生動物に出会った。


絶妙のタイミングで、ブログネタが出来たのだ!!!!

 

 


エゾリス(リス科)

2014年6月30日 伊達市・北海道

ふらりと立ち寄った道の駅で、
妻が「木の上で、変な音がする」と小声で叫んだ??

そっと近づいて見上げると、エゾリスがいた。

ちょっとだけ警戒するそぶりを見せたが、
そのまま(多分?)木の実を、齧り続けていた。

 

 

 

エゾリス(リス科)

2014年6月30日 伊達市・北海道

食べ終わると、ゆっくり向きを変えて・・・・

 

そのまま反転して、後ろの幹に飛び移った。

 

 

エゾリス(リス科)

2014年6月30日 伊達市・北海道

一瞬、幹にへばりつくような感じになったが、
まるでムササビのような見事なジャンプで、
反対側の枝に消えていった。


多少とも、我々を警戒していたのだろう。

この瞬間の姿は、ちょっとだけ愛嬌がある!!!

 

 


しかし・・・・・・・もっと、人を恐れない野生動物がいた。

 

 


普通、走行中の車の前を、イタチやタヌキが横切るときには、
助手席のカメラを手に取る前に、あっという間に視界から消えてしまう。

 


キタキツネ(イヌ科)

2014年7月5日 大雪山山麓・北海道

ところが、何故かキタキツネは、悠然と歩いて横切ることが多い。

だから、比較的簡単に写真を撮ることが出来る。


この写真の子は、少なくとも、走ってはいない。

 

 


キタキツネ(イヌ科)

2014年7月5日 然別湖・北海道

何と、車の多い国道でさえも、平気で横断する。

今回も、ブレーキをかけなければ、危ないところだった。


写真は、かなりのズームで撮っているのだが・・・

 

 

 

キタキツネ(イヌ科)

2014年7月5日 然別湖・北海道

それどころか、この子は、横断途中で方向を変え、
車に向かって威嚇(もしかしたら媚を売る?)する。

 

今回の北海道旅行では、エゾシカよりも、
キタキツネの方が、出会いが多かった。

個体数が、増加傾向にあるのだろうか?

ネット情報では、青森でも発見されており、
青函トンネルを歩いて移動したようだ。

 


特に最近になって、野生動物と人間との関係が、
マスコミでも大きく取り上げられるようになった。

改めて、彼らと、どう付き合っていったら良いのかを、
考えさせる場面が続いた・・・・


 

拍手[19回]