忍者ブログ

ちょっとだけ、不思議な昆虫の世界

さりげなく撮った昆虫のデジカメ写真が、整理がつかないほど沢山あります。 その中から、ちょっとだけ不思議だなぁ~と思ったものを、順不同で紹介していきます。     従来のブログのように、毎日の日記風にはなっていませんので、お好きなカテゴリーから選んでご覧ください。 写真はクリックすると大きくなります。   

[PR]

×

[PR]上記の広告は3ヶ月以上新規記事投稿のないブログに表示されています。新しい記事を書く事で広告が消えます。


絶妙の立ち位置? アオイトトンボの仲間

気分転換に文体を変えてみました。
ただし、内容はいつもの保護色の話です。



まずは、下の写真をクリックして、
拡大してご覧ください。


 

アオイトトンボの仲間(イトトンボ科)

2012年8月2日 芝谷地湿原・秋田

この写真にアオイトトンボの仲間(注)がいます。

どこにいるか、分かりますか?

 


・・・・多分、この写真では、
見つけることができないと思います。

 

 

アオイトトンボの仲間(イトトンボ科)

2012年8月2日 芝谷地湿原・秋田
   
上と同じ写真を、少しトリミングしてみました。

これでどうでしょうか?


写真の真ん中に、枯れ枝に重なって、
体の色が全く同じイトトンボがいました。

この枯れ枝は、かなり奥まった場所にあって、
この位置からでないと、見えにくくなっています。

翅が透明なので、枝に完全に重なっているように見えます。



これは、偶然か、必然か・・・
絶妙の立ち位置だと思います。

 

 


アオイトトンボの仲間(イトトンボ科)

2012年8月2日 芝谷地湿原・秋田

これは、同じ角度で、ズームで撮ったものです。


近づいて、よく見れば、体の色が枝とは違うので、
「トンボがいる!!」と、はっきり分かります。

翅が微妙に光を反射して、トンボの姿です。


おそらく、捕食者は、1~2m程度まで近づかないと、
このトンボを発見できないと思います。

 

 


アオイトトンボの仲間(イトトンボ科)

2012年8月2日 芝谷地湿原・秋田

この写真は、離れた位置から、かなり無理をして横に回り込んで、
同じ個体を、アングルを変えて撮ったものです。

これなら、良く見かける一般的な写真です。

でも、こんな位置から、獲物を探す鳥は、いないと思います。
 

体の色だけで隠蔽効果を狙った保護色とか隠蔽色とか呼ばれるものは、
このように、見る側(騙される側)のちょっとした位置の違いでも、
その防御効果は、大きく異なってしまう可能性があるのです。

 

(注)多分オオアオイトトンボの雌のような気がしますが、
   この写真だけで、確定することはできません。


 

拍手[19回]

PR

カメムシの集団⑧ クサギカメムシ他

カメムシの集団シリーズ(?)、今回が最後である。

前回まで(①~⑦)で見てきたように、カメムシの集団は、
以下のようなタイプに分けることができる。

 (1) ふ化直後から吸汁開始時期までのかなり密な集団、
 (2) 摂食・静止時におこる幼虫時期の集団、
 (3) 寄主植物の一部分に成虫・幼虫が混在するルーズな集団、
 (4) 交尾のための成虫のルーズな集団、
 (5) 越冬場所での集団、

この中で、(4)と(5)のカメムシの集団は、
さらに、微妙に異なるいくつかのグループがありそうだ。

前回、(4)については、少しだけ紹介したが、
まだまだ、良く分からないタイプもありそうである。

 

今回は、(5)の集団越冬するカメムシであるが、
こちらは、明らかに2つのグループに分けられる。

最初のグループは、キンカメムシの仲間で見られたような、
完全に同一の種類が意識的(?)に集まって越冬するものである。


一方、それぞれの個体が、好適な越冬場所を探しているうちに、
結果的に同じ場所になってしまった、というような第2のタイプもある。

だから、このような越冬集団は、同種のみで構成されていることはない。

越冬するために、人家に侵入する(前回の)マルカメムシもそうであるが、
他のカメムシ類やテントウムシなども、同じ場所で一緒に見つかるのだ。

 


クサギカメムシ(カメムシ科)

2011年10月11日 西目屋村・青森

雑木林の近くの人家の壁に、集まってきたクサギカメムシ。

このように、越冬のために集まるカメムシは、珍しくない。

ただ、この建物には、クサギカメムシしかいないようだ。
単に、時期的な問題なのかもしれないが・・・

 

 

クサギカメムシ(カメムシ科)

2012年10月20日 浅瀬石ダム・青森

こちらも、比較的暖かそうな駐車場のトイレの壁や天井に、
緩やかな集団にはなっているが、おそらく、
それぞれが、単に好適な場所に来ているだけでのようある。

ただ、これだけの数のカメムシが、人目に付くところに沢山いると、
どうしても「不快害虫」というジャンルに入ってしまう。

 

 

クサギカメムシ(カメムシ科)

2012年10月27日 八幡平・秋田

雑木林の周辺で、生活しているカメムシたちにとって、
突然出現した人為的な建造物は、寒い冬をやり過ごすための、
絶好の隠れ家になったのである。

これだけ、人家の壁に、大胆に集まってくると、
人間も対抗手段を取らざるを得ない。

この子たちは、殺虫スプレーを噴射されてしまったようである。

 

 


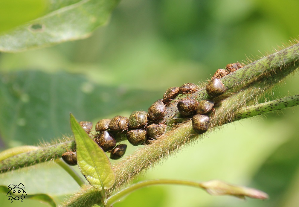
ヒメホシカメムシ(オオホシカメムシ科)

2006年2月3日 徳島市・徳島

その他にも人為的な環境で、集団越冬するカメムシもいる。
ヒメホシカメムシが、工事現場のブルーシートの下に、集まっていた。

南国徳島でも、2月は真冬であるが、
一枚のシートでも、少しは暖かいのだろう。

ただ、人為的な場所とはいえ、こんな感じの集団では、
殺虫剤を撒かれることはないだろう。

当然、この子たちも、たまたま集団になっているようで、
お互いの距離関係は、微妙である。

 

 


ヨコヅナサシガメ幼虫(サシガメ科)

2013年3月26日 東海村・茨城

こちらは、幼虫で集団越冬したヨコヅナサシガメ(注)
暖かくなったので、樹皮の隙間から出てきたようだ。

おそらく、少し前までは、びっしりと体を寄せ合って、
寒さに耐えてきたのだろう。

一般に肉食性のカメムシは、草食性の種に比べて、
それぞれが、簡単には見つけにくい(?)共通の餌を求めるので、
よりライバル関係が厳しいものになるはずである。

だから、集団になることは、不利益な行動と考えられるが
餌を食べない冬の時期だけは、例外なのだろう。


(注)中国が原産の外来種とのことで、1928年に九州で発見された。
   近年急速に増加したようであるが、比較的大きな肉食性の種なので、
   在来種(ライバルや餌種)にどの程度の影響を与えるか、注目される。

 

拍手[19回]


カメムシの集団⑦ マルカメムシ

マルカメムシは、前回のオオツマキヘリカメムシと同様に、
繁殖期(注)には、交尾のための集団を形成する。

でも、その集団の性質は、どうも微妙に違うようだ。

 

 

マルカメムシ(マルカメムシ科)

2005年9月3日 徳島市・徳島

特異な容姿を持つマルカメムシは、市街地でも、
クズなどの雑草で、比較的よく見かける。

この写真のように、幼虫時代の名残り(?)のような、
かなりルーズな集団を形成していることが多い。

 

 


マルカメムシ(マルカメムシ科)

2012年5月29日 南湖公園・福島

こちらの集団は、明らかに、意識的(?)に、
寄り添っているようだ。

しかし、集団内で、交尾しているカップルは、
なかなか見つけることはできない。

 

 


マルカメムシ(マルカメムシ科)

2012年5月29日 南湖公園・福島

この集団のちょうど真ん中に見える2匹は、
良く見ると、交尾中のようである。

これだけ沢山集まっているのに、
カップルは、1組だけしか見つからない。


交尾相手を効率的に探すためだけに、
集団になっているのではないのだろうか?

 

 

マルカメムシ(マルカメムシ科)

2011年6月10日 ひたちなか市・茨城

この写真の2組のカップルは、かなり微妙である。
それぞれが、交尾しているように見えるが、どうだろうか?

 

前回紹介したオオツマキヘリカメムシの場合、
集団の中で、ほとんどがカップルになっていた。

ところが、マルカメムシの場合は、明らかに様子が違っている。
交尾カップルがいる集団と、全くいない集団が存在するのだ。


この辺は、多分研究者によって、調べられていると思うが、
羽化後の日数とか、集団内の雌雄の数のバランスとか、
雌の(卵巣の)成熟度とかが、かなり影響しているようだ。


いずれにしても、マルカメムシの集団は、
ちょっとだけ不思議だ。

 


(注)もちろん、繁殖期以外の時期にも、
   マルカメムシは、もの凄い集団を作る。
   好適な越冬場所を求めて、人家などにも、
   集まってくるのだ。

   寒い冬の時期を、成虫の状態でやり過ごすには、
   普通は、雑木林の樹皮の下などが適している。

   しかし、人間の作った建物は、
   他の場所とは、多分、比較にならないほど、
   暖かく、好適な場所なのかもしれない。

 

拍手[19回]


カメムシの集団⑥ オオツマキヘリカメムシ

今まで紹介したタイプとは違って、
交尾に関連した集団もある。

多くの場合は、雌雄の出会いのための集団であり、
当然のことであるが、そのような集団には、幼虫はいない。

これは、第3のタイプ(注1)の集団として良いだろう。

 

 


オオツマキヘリカメムシ(ヘリカメムシ科)

2011年6月29日 白岩森林公園・青森
 
初夏のころ、青森県では、イタドリの茎などに、
1箇所に集まって、交尾しているのが見られる。

この写真では、8組のカップルが出来ているが、
どうやら、あぶれた雄はいないようである。

 

 


オオツマキヘリカメムシ(ヘリカメムシ科)

2011年6月26日 白岩森林公園・青森

この写真でも、10組以上ののカップルが出来ている。

あたり一面は、イタドリの群落(?)であるが、
何故か、その中の一本の茎に、集まって交尾しているのだ。

 

 


オオツマキヘリカメムシ(ヘリカメムシ科)

2012年6月8日 だんぶり池・青森

この4組のカップルも、それぞれ仲が良さそうである。
 
でも、こんな感じで、集団で交尾するメリットは、
一体、どこにあるのだろうか?

多くのカメムシ類の交尾時間は、他の虫に比べて長い。

昆虫類の受精は、最後に交尾した精子が使われることが多く、
交尾時間をできるだけ長くのばして、メスを拘束し、
次の他の雄との交尾を、阻止するためだと考えられている(注2)

交尾時間が長いことと、集団で交尾することに、
何らかの関連性はあるのだろうか?

 

 


オオツマキヘリカメムシ(ヘリカメムシ科)

2012年6月19日 白岩森林公園・青森

オオツマキヘリカメムシの場合には、このように、
個々の交尾カップルが、集団化している。

近縁種のホオズキカメムシの場合には、
基本的な群れは、雌が中心であり、
この雌の集団をめぐって、雄がテリトリーを形成する。

だから、おそらく1匹の雄が、
群れている雌たちと独占的に交尾することができる。

しかし、オオツマキヘリカメムシの場合には、
決して、単独オスのハーレム状態にはなっていないのだ。

 

やっぱり、かなり不思議である。

 


(注1)ただし、交尾のための集団にも、種類によって、
    微妙な違いがあるようで、このことについては、
    機会があれば、別に紹介したい。


(注2)昆虫は一夫一妻性ではないので(?)、交尾後の雌は、
    すぐに他の雄との再び交尾することがが可能であり、
    多くの場合、後から交尾した雄の精子と受精する。
    だから、雄たちには、つがい相手の雌が、自分と交尾した後、
    すぐに別の雄と交尾するのを阻止するため、
    長時間交尾を続けて、雌をしっかり拘束しておくことが、
    必要になったのだろう。



拍手[20回]


カメムシの集団⑤ ジュウジナガカメムシ

(カメムシの集団シリーズ再開します・・・・あと4回)

もうひとつ強烈な幼虫集団を紹介しよう。

カメムシの仲間は、大卵少産タイプの不完全変態で、
しかも、親と似た環境で生活しているので、
幼虫が群れになりやすい種類が多い。

 

ジュウジナガカメムシ幼虫集団(ナガカメムシ科)

2001年8月18日 白樺湖・長野

デジカメがようやく普及し始めた頃の貴重な写真。

ガガイモ科の有毒植物イケマの葉っぱの表面に、
沢山の個体が集合している。

明らかな警戒色を持つこの集団は、
体内に有毒物質(注)を蓄積しているので、
アサギマダラの幼虫などと同じように、
野鳥に襲われることはないだろう。




 

ジュウジナガカメムシ(ナガカメムシ科)

2001年8月18日 白樺湖・長野

上の集団の中の1匹を、木の枝で軽く刺激すると、
刺激された個体も含めて、近接の個体は地面に落下したが、
少し離れたところにいた残りの個体は、
歩いて別の葉っぱに分散していった。

このように、警戒色を持った草地にいるカメムシの集団は、
警報フェロモンに敏感に反応し、すぐにバラバラになるか、
一斉に地面に落下することが多い。


これらの行動は、おそらく、野鳥類以外の、
カメムシの不味成分を気にしない捕食者への対策だろう。


だから、警報フェロモンと警戒色の最強の組み合わせで、
様々なタイプの外敵の攻撃から、集団で、
効率よく(?)、身を守っているのだ。

 

 

ジュウジナガカメムシ(ナガカメムシ科)

2012年8月22日 十石峠・長野

多分100匹以上の大集団を発見。

有毒のガガイモ科(多分イケマ?)の植物の汁を吸っている。

写真を良く見ると、やや白っぽくなった部分があり、
吸汁の凄まじさを物語っている。

こんな風に、一枚の葉っぱから集団で吸汁すれば、
当然の結果であろう。

写真をもっと良く見ると、右側に見える葉っぱは、
さらにひどいことになっている。

集団吸汁のため、完全に枯れてしまっているのだ。

 

 

ジュウジナガカメムシ(ナガカメムシ科)

2012年8月22日 十石峠・長野

少し離れた別の場所には、こんな光景が見られた。

吸汁によって枯れてしまった葉っぱから、移動せずに、
そのまま、集団を作って静止しているのだ。

このブログで、今まで何度かカメムシの集団を紹介してきたが、
ここまで壮絶に、葉っぱを枯らしてしまうような種類はいなかった。

 

 

ジュウジナガカメムシ(ナガカメムシ科)

2012年8月22日 十石峠・長野

一体何故、一枚の葉っぱを枯らすまでに、
集団で、徹底的に吸汁するのだろうか?

しかも良く目立つ葉っぱの表面に、
こんなに沢山の個体が集まっている(中央の赤丸)のか、
この雰囲気は、かなり強烈で、不気味だ。


この後、何をきっかけに、どのようにして、
別の葉っぱに、移動して行くのだろうか?


(注)
シナンコトキシンなどの痙攣毒を含む。
   属名の「Cynanchum」は「イヌを殺すもの」という意味らしい。

拍手[20回]