忍者ブログ

ちょっとだけ、不思議な昆虫の世界

さりげなく撮った昆虫のデジカメ写真が、整理がつかないほど沢山あります。 その中から、ちょっとだけ不思議だなぁ~と思ったものを、順不同で紹介していきます。     従来のブログのように、毎日の日記風にはなっていませんので、お好きなカテゴリーから選んでご覧ください。 写真はクリックすると大きくなります。   

[PR]

×

[PR]上記の広告は3ヶ月以上新規記事投稿のないブログに表示されています。新しい記事を書く事で広告が消えます。


虫たちの防御戦略⑩ Ⅲ(2). 目玉模様(大)

捕食者が接近してくるのを感知した虫たちは、
その場所から離れる(逃げる)というのが、
前回【Ⅲ(1)】紹介したように、最も手っ取り早い選択だと思う。

しかし、ただ単に逃げるよりも、せまってくる捕食者を、
ちょっとだけでも躊躇させてから逃げる方が、
より確実に、目的を達成できるだろう。


捕食者の攻撃を、躊躇させる手段は、色々ありそうだ。

代表的なのが、突然見せる目玉模様と、突然放出する防御物質だ。
防御物質については、後日、Ⅲ(5).で紹介するので、
ここでは、様々な場面で活躍する目玉模様を取り上げる。

目玉模様は、その機能によって、2種類に大別されるが、
攻撃をそこに向けさせる比較的小さな目玉模様については、
Ⅲ(4).で紹介するので、ここでは触れない。

 


常夜灯がある公共の駐車場(SAや道の駅など)のトイレは、
色々な蛾の写真を撮ることができる隠れた穴場である。

そんな場所に、早朝さりげなく行ってみると、
森の中に帰りそびれた沢山の蛾が見つかる。

人が近づくと、飛んで逃げようとするが、
そのとき、ふたつの大きな目玉模様が見える蛾がいる。

そのような蛾の多くは、普通に止まっているときには、
保護色的な色彩の前翅の表面を見せているので、
鳥などの捕食者から、見つかりにくくなっている。

ところが、捕食者や人が近づいてくるのを察知すると、
前翅を急に広げ、鮮やかな目玉模様を見せるのだ。

 


2008年9月26日 道の駅(碇ヶ関)・青森

クスサンの目玉模様は、このように逆さに見ると、
フクロウなどの肉食性の鳥の目とそっくりであり、
蛾を捕えようとした鳥は、攻撃をためらうだろう。

 


2011年9月3日 城ヶ倉大橋駐車場・青森

ヤママユの場合には、翅を閉じているときにも、
小さな目玉模様が見えるが、前翅を開くと、
より大きな別の目玉模様が突然見える。


目玉模様を持たず、保護色だけにたよっている蛾には、
この前翅を突然広げるという行動は、見られないようだ。

 


一方、幼虫時代に大きな目玉模様をもっている蛾も多く、
皮膚の下や腹側に目玉模様があって、急にそれを示す種や、
もち上げて前後にはげしく振る種などが知られている。

 


2010年10月8日 弘前市・青森

まるで漫画のような目玉模様のアケビコノハ幼虫。

大きな目玉模様を持つ虫たちは、そんなに多くないが、
いずれも単なる同心円ではないところが凄い!

良く見ると、多少のずれがあったり、
中心部分には、虹彩を思わせる別の模様があるのだ。

 


2011年6月29日 だんぶり池・青森

クワコ幼虫の目玉模様は、アケビコノハ幼虫と違って、
このように、十分すぎるほどリアルである。

これが、まさに本物のヘビの目玉に、良く似ているのだ。

 


2011年9月26日 小泉潟公園・秋田

これは、本物のシマヘビである。
人間はあまり良く見ることはないだろうが、
確かに、本物のヘビの目の模様と、
偽物の目玉模様を比較すると、うまく擬態してるなと思う。

 

 

捕食者に限らず、多くの生物は、完全な目玉模様でなくとも、
突然目の前に、鮮やかな色をしたものが飛び出すと、
かなり驚くことが、多くの実験で確かめられている。



2010年11月27日 三春PA・福島

アケビコノハの場合は、完全な目玉模様ではないが、
前翅の枯れ葉に似た保護色のおかげて、
突然見えるオレンジ色の模様のインパクトは大きい。

この写真は、私がカメラを持って近づいたとき、
翅を広げて、飛んで逃げようとした瞬間である。

 


2011年8月31日 城ヶ倉大橋駐車場・青森

ヒトリガの場合は、右下の静止状態から、脅かされると、
翅を広げて、突然オレンジ色を見せつける。

この赤みが強いオレンジ色は、人でも衝撃を受ける。

 


2012年10月11日 城ヶ倉大橋駐車場・青森

その他にも、カトカラと呼ばれる種類の蛾は、
普段見えない後翅表面が、鮮やかな色をしており、
偶然かもしれないが、飛び立って逃げるときに、
鮮やかな模様がみえる。(写真はゴマシオキシタバ)

 


多くの生物は「見慣れないものを本能的に避ける」傾向がある。

クスサンやアケビコノハの例のように、最初は、飛び立つ寸前に、
普段隠れている鮮やかな模様が、突然見えるだけだったのだろう。

この場合は、もちろん捕食者の過去の経験は無関係であり、
単なる見慣れないものが、突然目の前に現れて、
ちょっとビックリ! ということしかなかったと思う。

それを、捕食者の方で、勝手に(!?)驚いて、
さらに、そこに見えている、ふたつ並んだ同心円状の模様を、
過去に嫌な経験をしたフクロウの眼と、(勝手に)思い込んだのである。

そして、その目玉模様が、捕食者を躊躇させる効果は予想外に大きく、
さらに、精巧でリアルな目玉模様へと進化していったのだろう。

 


それは・・・・何となく・・・・分かった。

 


では、下の2枚の写真は、一体どう説明するんだ!!!

 


突然後翅の模様を見せる蛾は、まだ他にもいるのだ。

 


2011年9月29日 城ヶ倉大橋駐車場・青森

中には、こんな青い模様の蛾もいるし(フクラスズメ)、

 


2012年10月10日 城ヶ倉大橋駐車場・青森

中には、こんな黒い模様の蛾もいる(シロシタバ)。

 

一体、これには、どんな意味があるんだ?

捕食者を驚かすだけなら、赤色が一番だし、
みんな赤系の色にすれば良いではないか!!

 

???????????????????

 

???????????????????

 

この問いに対するもっともらしい回答が、ふたつある。


(1)赤い模様に何度も騙されてきた捕食者を、
   迷わせ、さらにビックリさせるために、
   違う色も「あり」である。

(2)逆に、突然見える目玉のようなものを、
   急所として攻撃させる「小さな目玉模様」の効果を狙う。

 

どっちにしても、ちょっとだけ不思議な虫たちである!!!

 


以下の元記事も、是非ご覧ください。
↓  ↓  ↓
20110308 目玉模様の進化【1】
http://kamemusi.no-mania.com/Date/20110308/1/

20110309 目玉模様の進化【2】
http://kamemusi.no-mania.com/Date/20110309/1/

20110310 目玉模様の進化【3】
http://kamemusi.no-mania.com/Date/20110310/1/

20110311 目玉模様の進化【4】
http://kamemusi.no-mania.com/Date/20110311/1/

 

拍手[21回]

PR

虫たちの防御戦略⑨ Ⅲ(1). 逃げる

ここからは、虫たちが運悪く捕食者と出会ってしまったときに、
最後の手段として行う、本当の意味での防御方法である。

Ⅲ(1).  逃げる

子供のころ、トンボやセミを捕まえようと、そっと近づいても、
網を振る直前に、逃げられてしまうことが、たまに(!)あった。

そして、大人になってからも、虫たちを見つけて、
写真を撮ろうとカメラを向けると、
絶妙のタイミングで、逃げられてしまうことが、
しばしば(!?)ある。


被食者からみれば、捕食者が射程距離に入る前に、
その気配を察知し、その場から飛び去ることはできれば、
それは、最も簡単で、効果的な防御手段となるだろう。


もちろん、虫たちは、飛んで逃げるだけではない。


体の扁平なゴミムシ、ハサミムシ、ハネカクシ、ゴキブリなどは、
石の下や隙間や落ち葉の中に、素早く歩いて逃げ込みむ。

イナゴやカメムシは、葉の裏側へ回り込み、相手の動きを見極め、
常に反対側へ移動しようとする。

また、ハムシ、コメツキ、カミキリなど多くの虫たちは、
少なくとも我々人間が近づいただけで、植物体から落下する(注)


このような逃避行動が、大きな防御効果を持っていることは、
われわれが野外でケガをしている虫に、
ほとんど出会わないことからも想像される。

実際に、うまく飛んだり歩いたりできないようにした昆虫を、
地面においておくと、必ずアリがやってきて運び去ろうとする。

 

しかし、逃げる途中の虫たちを、カメラで撮るのは不可能に近い!!

あまり良い写真ではないが、たまたま撮れた3枚。

 


2011年8月11日 東海村・茨城

これは、多分スジアオゴミムシが、普段の隠れ家(朽木の穴)に、
逃げ込む寸前の写真である。

 


2012年10月14日 浅瀬石ダム・青森

セアカヒラタゴミムシが、私に気付いて、
必死に逃げているところを、さらに、
必死に追いかけて撮った貴重な一枚である。

 


2012年5月18日 芝谷地湿原・秋田

とにかくクルクル回っているので、おそらく、
捕食者の射程距離には入りにくオオミズスマシ。

これは一瞬止まったところを写したもの。

 

・・・・・・・・・・・・・・・

 

次の2枚組の写真は、ちょっとだけ自慢(2枚目)。

しかし、偶然の賜物である。

 


2011年6月29日 白岩森林公園・青森

イオウイロハシリグモが、少しずつ近いづいて、
ハナバチの仲間を、完全に射程圏に捉えている!!!



2011年6月29日 白岩森林公園・青森

しかし、攻撃した瞬間に、わずかのタイミングで、
獲物に逃げられてしまった!!!

これが、そのときの証拠写真である。
クモの前方に、ぼんやり写っているのが、
今回は生き延びたハナバチ君である。


この写真を見て、昔読んだ論文を思い出した。

確かビデオカメラの映像から、カマキリの捕獲速度(前脚の動き?)と、
獲物(多分ハエだった?)の逃避速度の関係を調べて、
カマキリの射程距離と、ハエの逃げるタイミングを推測していた。
もう40年も前に、こんなことをやる研究者がいるんだ、
と感動したものである。

結論は、はっきりとは覚えていないが、
ハエは、カマキリの射程距離に入ってしまっても、
半分以上の確率で、逃げることができたと思う。

上のハナバチも、クモの微妙な動きを察知し、
多分絶好のタイミングで、飛び立ったのだろう!!


・・・・・・・・・・・・・・・・・・

 

逃げることに、特別な手段を持っている虫たちもいる。

今シリーズで、色々な場面に登場した金属光沢の虫たち。

ミドリシジミやルリタテハの場合には、
翅の表側にある金属光沢は、こんな効果が期待できる。



2011年7月12日 帯広市・北海道

翅の表面がキラキラに輝くジョウザンミドリシジミ(多分)。
本当に遠くからでも、よく目立つ。

実際に、このチョウが飛んでいるときには、
左右の翅を体の真上と真下でぴったり合わせる。

そうすると、ある瞬間には翅の表面だけ、
ある瞬間には翅の裏面だけが見えるのだ。

だから、良く目立つキラキラ表面が、
途切れ途切れに移動しているように見えるので、
捕食者は、正確に後を追うことができなくなるのだ。

 


2011年5月24日 だんぶり池・青森

ルリタテハの翅の裏面は、捕食者である鳥に対して、
このように、保護色(隠蔽色)として機能する。



2011年4月28日 だんぶり池・青森

しかし、表面は、強烈に目立つ金属光沢の輪がある。

この状態のときに、見つけた鳥が近づいて来たとき、
突然、翅を閉じたらどうだろうか?
(⇒突然見せる目玉模様とは、全く逆の状況である)

おそらく、それまで見せていた派手な色の表面が、
突然なくなって、裏面の隠蔽的な効果が、
そのコントラストの大きさによって、より強調されるだろう。

近づいてきた捕食者は、マジックでも見てる感じだろうか?

 


さらに、全然別の、ユニークな逃亡手段がある。

多くの昆虫類が持っている鱗粉や細かい毛は、
それが体から非常に離れやすいという理由で、
逃避的な防御手段になる可能性があるのだ。

例えば、体中にろう物質の粉を付けているコナジラミは、
モウセンゴケのトラップから脱出できるし、
抜けやすい毛で覆われているトビケラは、
クモの糸から簡単に逃れることができると言われている。



2010年8月10日 東海村・茨城

全身に粉をふいてるようなアミガサハゴロモ。

もしかしたら、この子もクモの巣から逃げられるのだろうか?

 


また、有名な例として、コウモリに対する蛾の逃避行動がある。

蛾がコウモリの声を聴くことができるという事実は、
昔から知られていたが、それが何の意味をもっているかは、
全くわからなかった。

しかし、夜行性のコウモリの飛行は、彼らの発する超音波の反射音を、
感受することによって行なわれていることわかってから、
コウモリと蛾の複雑な関係が、明らかになってきたのだ。

コウモリの超音波に対抗する第一の手段として、
蛾は仝身に細かい毛をもって、超音波を吸収しようとした。

ある種の蛾は、超音波を感受できる装置を背面に備え、
コウモリの発するそれを30~40m離れて聞いたときは、
明らかにその方向を知ることができ、
その場から離れようとすることが観察された。

コウモリ自身の聴覚範囲は、その1/10以下であるので、
この捕食者は、あたかも蛾の定位をさまたげるように、
全くランダムなジグザグ飛行をする。

一方、コウモリが蛾を発見して、一直線に近づいてくると、
両者の飛行速度の違いから、
もはや逃亡するのが不可能であることを知った蛾は、
そのまま地面に落下してしまう。

しかし、コウモリの方も、最適な食物である蛾の行動を、
見逃してはいない。蛾が落下し始めると同時に、
あたかもその軌道を計算しているかのように方向を変え、
蛾が地面に着く直前に捕えるという行動を発達させてきた。

蛾の方も、ただ落ちるのではなく、急降下したり、
キリモミ状に落下して抵抗するが、
膨大な写真の分析から、10回のうち6回までしか、
コウモリは、落下中の蛾を捕えることが出来なかったのだ。


さすが、愛すべき虫たち!!!

 

(注)この落下するという逃避方法は、予想以上に効果が高い。

       一度地面や落ち葉の中に落ちてしまった虫たちを、
       もう一度探し出すことは、まず不可能であることを、
   昆虫採集する人なら、だれでも経験してるはずだ。

   しかし、賢い昆虫マニアは、その虫たちの行動を逆手にとる。

   枝の下に、白い布を置いて、その枝を軽く棒でたたくと、
   その枝にいた虫たちが、布の上に、簡単に落ちてくるのだ。

   布に落ちた虫は、すぐには飛び立ないので、
   目的の虫を、簡単に採集することができるのだ。

   これを、昆虫マニアは、ビーティング採集法と呼ぶ。
   実際は、こんな感じである。
   ↓  ↓  ↓ 

   
   1991年8月9日 大山・鳥取

       かなり、やらせっぽい写真ではある。    
     ⇒注目は、やはり撮影年だろうか?

 

拍手[22回]


非雪国の皆様へ

虫たちの防御戦略シリーズ、前半戦が終わった。


ちょっとだけ休憩(ハーフタイム!!)

 

・・・・・・・・・・・・・・・・

 


弘前に住むようになって、
もうすぐ5年になろうとしている。

 


ようやく、雪にも慣れた・・・・

 

・・・けれど・・・

 

・・・・・・・・・・・除雪が!?

車庫の前に、除雪車が、本当にさりげなく置いていく。
しかも、ガリガリの重い雪の塊(氷?)!!!!

 

 


今年は、例年になく雪が積もったようだ。

 

 

こんな感じに!!!

雪に埋まった車

2013年2月16日 弘前市・青森

誤解を与えてしまいそうなので・・・

このように、雪に埋まってる車を見るのは、
弘前市内でも、滅多にないことではある。

 

 

それと・・・


巨大つらら

2013年2月13日 弘前市・青森

ふと、窓の障子を開けてみると、つららが!!!

これも、思わず写真に撮りたくなるほど、
滅多に無いことではあるが・・・


大きな氷柱(つらら)が、真夜中に、
もの凄い音をたてて、落下する。

 

 

雪を食べるアイン君

2013年1月29日 弘前市・青森

南国、徳島で生まれ育ったアイン君は、
何故か、雪を食べるのが大好きである。


足も、顔も、半分雪の中・・・でも全く平気!!

 

アイン君・・・・ついに、18歳を過ぎた!!!!

 

 

雪国の虹

2013年2月2日 弘前市・青森

ほとんど毎日、どんよりした雲に覆われているが、
月に数回、青空が見えることがある。

それで・・・・たまに、こんな光景も!!




しかし、春はまだ遠い・・・・

 

 

次回から、虫たちの防御戦略、後半戦に突入です。


 

拍手[23回]


虫たちの防御戦略⑧ Ⅱ(7). 集団防御

虫たちの中には、人間の想像をはるかに超えて、
大集団を形成する種類がいる。

最初は、なんでそんなに大きな集団になるのか、
なかなか説明がつかなかったようだ。


しかし、最近では(とは言っても半世紀ほど前だが)、
天敵からのエスケープと呼ばれる明快な説明がなされている。

アメリカには、周期ゼミと呼ばれる数種のセミがおり、
17年周期のセミが3種、13年周期の4種が確認されている。
(⇒当然のことながら、それぞれ、生息する地域と発生する年が異なる)

最も有名な有名な17年ゼミは、世界で最も長生きするとも言われている。

何と17年間も地中で過ごした幼虫が、特定の年に一斉に羽化するのだ。

このセミは捕まえるのが容易で、有毒成分や武器を持たないため、
野鳥などの捕食者の餌食にされやすい。
しかし、ある地域に、何万匹というセミが一斉に出現した場合には、
とても、そこにいる捕食者が、食べきれるものではない。

この現象を「天敵からのエスケープ」と呼ぶのだ。


そして、この話には続きがある。


十分すぎるほどの餌があると、その年の捕食者の数は、必然的に急増する。

しかし、捕食者にとって不幸なことに、大発生した年の翌年以降は、
17年も好適な餌であるセミの姿は、全くなくなってしまうのだ。

そのため、急増した捕食者は、急激な餌不足となり、
再び17年間にわたって、細々と(?)生活しなければならないのだ。

 

 

アメリカには、もうひとつ、ものすごい数の集団がいる。

これも、今ではすっかり有名になったオオカバマダラの集団越冬である。


夏の間、北米カナダなどで発生を繰り返したオオカバマダラは、
8月下旬に蛹から羽化した成虫が、そのまま交尾もせず、南へと移動を始める。

各地からやってきた小集団は、南へ移動するにつれて、
次々に、さりげなく合流していく。
そのため、目的地に近づくと、空を覆うばかりの大集団になるという。

そして、最後の目的地は、カリフォルニア州の太平洋沿岸の数か所と、
メキシコの2か所だけが、現在知られており、おそらく他にはないだろう。

不思議なのは、その場所でも、越冬に選ばれた木は限られており、
その木は、(写真で見る限り)オオカバマダラに埋め尽くされるのだ。


何故、こんなことが起こるのだろうか?


おそらく、オオカバマダラは、
北米の繁殖地でそのまま冬を越すよりも、
暖かい地域に移動して、バラバラに越冬するよりも、
大集団になって移動した地域の限られた数本の木で集団越冬する方が、
より生き残りやすかったのだろう。

 


今回は、写真がない!?・・・・・・・・・・・

 

 

・・・・・・・・あります!

 

アメリカのセミやチョウほど、大きなスケールの話ではないのだが、
日本で見られる虫たちの中にも、多分それに近いことが起こっている。



2012年5月23日 長者原SA 宮城 

かなり効率よく並んでいるオビカレハ幼虫。

多分鳥が来ても、食べきれるものではないだろう?

アメリカシロヒトリが、日本で大発生したのも、
幼虫が、集団で営巣し、天敵からのエスケープが、
その理由のひとつと言われている。

 


2012年5月23日 長者原SA 宮城

同じ日の同じ場所には、こちらも整然と並んで、
適度な密度で集団吸汁するアブラムシの仲間がいた。

この中の数匹が、テントウムシに食われても、
全く影響はないのだろう。

 


2011年6月25日 だんぶり池・青森

こちらのアブラムシは、整然と並んではいない。
あえて表現すれば、メチャクチャである。

増えすぎて(?)足の踏み場もないほど、重なり合っている。
右の拡大写真を見ると、アリがその上を歩いているのがわかる。

こんな状態のところに、天敵のテントウムシなんかが来るのか?
まあ、アリが守ってるのかもしれないが・・・

 


2012年8月22日 十石峠・長野

ジュウジナガカメムシ幼虫集団は、十石峠の林道で、
合計3か所で見つけている。

限られた範囲で、数個の大きな集団が見られたということは、
天敵からのエスケープというだけではない、何か別の説明が必要だろう。

その中で、一番考えやすい説明が、
「捕食者から見ると、同じような餌が沢山あり過ぎて、
特定の個体に注意を払えずに、リスクが分散する」
というものである。

もちろん彼らは、1匹が攻撃されると、アラームフェロモンを放出し、
バラバラになったり、地面に落下したりする。

さらに言えば、大集団になるということ自体が、
視覚で獲物を探す捕食者に対して、かなりの違和感を持たせ、
攻撃を躊躇させるような効果がありそうだ。

少なくとも、妻と娘は、毛虫やアブラムシの集団を見ただけで、
気持ち悪いと言って、それ以上近づくことはない。

虫を食べる捕食者が、それが大集団になっているのを見て、
「気持ち悪い」だとか、「こわい」とかの感情を持つかどうかは別にして、
おそらく「普段と違う!!」というビックリさせる効果である。

 

最後にまた、虫の話ではないのだが、こんな写真は有名である。


2010年9月25日 大洗水族館・茨城

水族館のイワシの群れ。

多分これは、集団になって、
一匹の大きな魚に見せかけている(?)


 

拍手[21回]


虫たちの防御戦略⑦ Ⅱ(6). 非食物擬態(仮称) 金属光沢と糞擬態

虫たちの中には、食べ物ではないものに似せることにより、
捕食者の視覚を欺いて、身を守ろうとするものがいる。

Ⅱ(3)で紹介したように、枯れ葉や枯れ枝に擬態する虫たちは、
背景を間違えてしまったときに、捕食者が見つけても無視する。
だから、食べ物以外に擬態していると言えるのかもしれないが、
彼らは、基本的には目立たないタイプの隠蔽的擬態者なはずだ。


もっと積極的に、自分を目立たせ、捕食者に発見されやすいが、
すぐに興味を失うものに擬態する虫たちがいるのである。

キンキラキンの金属光沢の虫たちは、その名のとおり自分は金属で、
食べ物(生き物)ではないことを、訴えている可能性がある。
(⇒金属光沢は虫の体色であり、定義上は、Ⅱ(4)の警戒色かもしれない)

普通に考えれば、「金属のような生物」がいるのは、不思議だ・・・(注1)

 


2011年6月22日 白岩森林公園・青森

この写真のように、アカガネサルハムシは、まさにメタリックである。
これだけ目立つのに、有毒種でもない(多分)し、武器も持っていない。

本当に、捕食者は、生物でないと判断して、
タマムシやルリハムシを食べないのだろうか?


実は、この戦略には、大きな落とし穴があったのである。

鳥類のような視覚的に獲物を探す捕食者の多くは、
獲物に対して、サーチングイメージができるので、
直前に食べた虫たちを狙う習性があるのだ。

もし、すごく目立つ金属光沢の虫たちが、
偶然に一度でも、捕食者に食べられてしまうと、
彼らは嫌な味も匂いも持っていないので、今度は逆に、
捕食者は、そればっかりを狙って食べるようになってしまう。

その証拠が、下の写真である。



2010年7月3日 日高町・北海道

これは、北海道で見つけた、多分クロテンの糞である。
実は、これとよく似た写真を1年後に、同じ北海道内で撮っているのだ。



2011年7月10日 野上峠・北海道

これは、次の年に発見した糞を、少し崩してみたところである。
もしかしたら、収集家が見たら、目を覆いたくなるような、
もの凄い光景なのかもしれないが・・・

素人が、2年連続で、キンキラ糞を発見できるほど、普通にあるのだろうか?
ちょっとだけ不思議な気がする(注2)

 

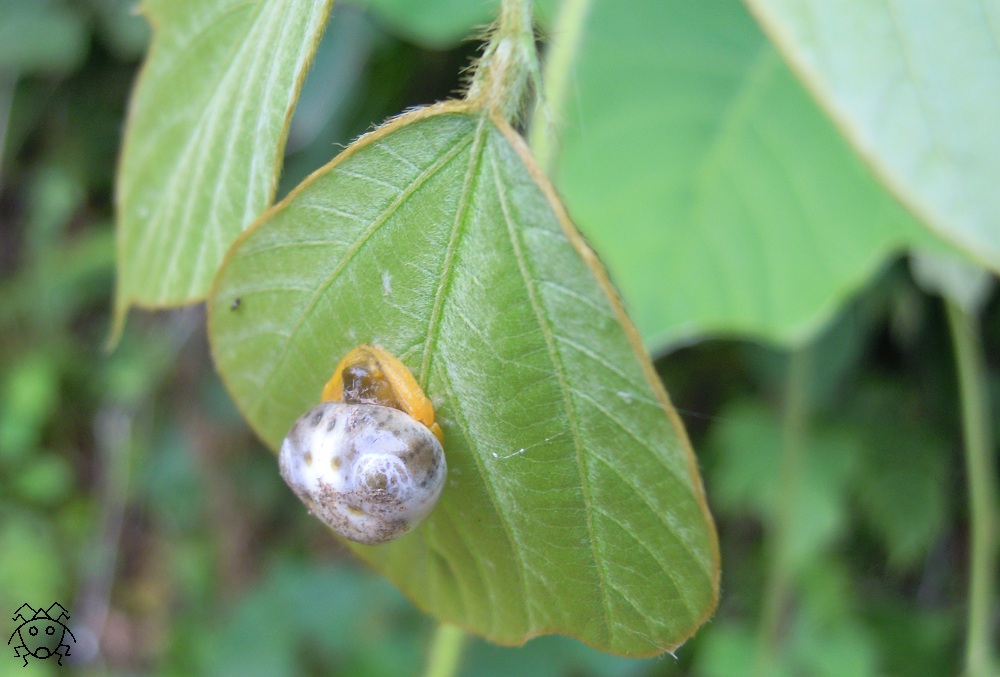
続いて、つながり良く(!)、鳥のフンに擬態する虫たちを紹介する。


地面に水平に広がっている大きな葉っぱの上には、
枯れ枝や花の残骸など、色々なものが落ちて来ている。

確かに、その中に紛れ込んでいると、
鳥のフンのような虫は、隠蔽的擬態であるような気もする。

しかし一方で、少なくとも、虫を探しながら歩く人間には、
葉っぱの上の鳥のフンは、よく目立つ。

同じく、虫を探しながら飛ぶ(歩く)鳥や動物にも、
よく目立つのだろうが、おそらく関心を引くことはないだろう。

つまり、捕食者が必死で探す虫(餌)のリストから、
食べられない鳥のフンとして、とりあえず外されていることは、
被食者にとっては、かなり大きい防御手段になっているはずだ。



2010年10月8日 だんぶり池・青森

おそらく蛾の幼虫だろう。
朝露に濡れて、まさに鳥のフンである。

すぐ近くには、越冬前のアマガエルが沢山いたが、
この幼虫は、全く食べられる気配がなかった。



2010年10月8日 だんぶり池・青森

この幼虫も、どう見ても鳥のフンである。

いつも、こんな感じで静止しているのだろうか?
それにしても、リアルである。



2011年6月10日 ひたちなか市・茨城

オジロアシナガゾウムシである。
どうも、白と黒のまだら模様があると、
鳥のフンに見えるようである。

これが、緑色の葉っぱの上にあると、
かなり良く目立つ。



2012年8月6日 金山町・秋田

これは、トリノフンダマシというクモの仲間である。

灰色の微妙な模様の腹部とのバランスは、明らかに、
鳥のフンを意識(?)しているのだろう。

思いきり近づいてみると、上の方に黄色く見えるのが、
見事に折りたたまれた脚である。

一番目立つ場所で、必死に演技しているようだ!!!

 

最後にひとつだけ、素晴らしい例を示そう。



2012年9月13日 芝谷地湿原・秋田

遠目でみたときには、確かに鳥の糞であった。
近づいて見ると、多少違和感があるが、
ヒトツメカギバという蛾が、確かに交尾していた。

もちろん、違和感を感じたのは、
普通の蛾の交尾の状態ではないからである。

虫たちが、どんなに上手に擬態しようと、
左右対称の形態まで変えることはできないのだ。

ところが、この子たちは、明らかに、交尾することによって、
左右対称の本来の蛾の輪郭を消しているのだ!!!



2012年9月13日 芝谷地湿原・秋田

こっちは、驚くべきことに、交尾は終わっているようだ。
(⇒時間的に、交尾前とは考えにくい?)

しかし、このように、ある程度重なったまま離れようとしない。
交尾が終わって、ただ名残を惜しんでいるわけではないのだ。
冷静に観察すると、この役者カップルの迫力のある演技(!)が理解できる。

このような、全体の輪郭を細長く見せるような重なり方は、
鳥の糞が、垂直に近い葉っぱの上に落ちて、
下の方に垂れ下がったような雰囲気を出しているのだ。


これは、偶然とは思えないし、見事というしかない!!!!!!


これが意識的に(?)演技しているのだとすると、
逆に言うと、最初のカップルの重なり方も、また見事である。
ほぼ水平の葉っぱの上で交尾する場合には、鳥の糞が、
水平の葉っぱの上に落ちて、隙間なくぴったりと葉っぱに密着して、
均等に広がった状況を、再現(?)していることになる。

ヒトツメカギバのオス成虫は、自分が止まっている葉っぱが、
水平に近いのか、あるいは垂直に近いのかを分かっていて、
雌雄の重なり方を変えているのだ。


是非、下の元記事をご覧ください。
↓  ↓  ↓
20120918 これは交尾擬態か? ヒトツメカギバ
http://kamemusi.no-mania.com/Date/20120918/1/

 

(注1)生物が非生物特有の金属光沢を持つ意味は、色々考えられる。
    捕食者と被食者との関係に限ってみれば、

    ① 単純に、キラキラ光るものを、捕食者は食べ物と認識しない。⇒Ⅱ(6)
    ② まわりの葉っぱや水面がキラキラ反射すると、保護色になる。⇒Ⅱ(2)
    ③ 逆に、そのキラキラがよく目立ち、警戒色となる。⇒Ⅱ(4)
    ④ 飛翔中にキラキラ光ると、小鳥をおびえさせる。⇒Ⅲ(2)
  
    というように、説明されることが多い。

         もちろん、その他の機能としては、
    体温調節や交尾相手の発見なども考えられる。

 

(注2)このことは、ベイツ型擬態者にも言えることで、
    捕食者が危険なモデル種を経験する前に、
    味の良い擬態者を食べることがあるはずで、
    そんなときには、目立つ色のサーチングイメージによって、
    擬態者が、連続的に食べられてしまう可能性もあるのだ。

 

拍手[22回]